Estate
不動産情報

HOME > 不動産情報 > 分譲地 > 栃木県佐野市犬伏新町B区画 売地
  • 契約済

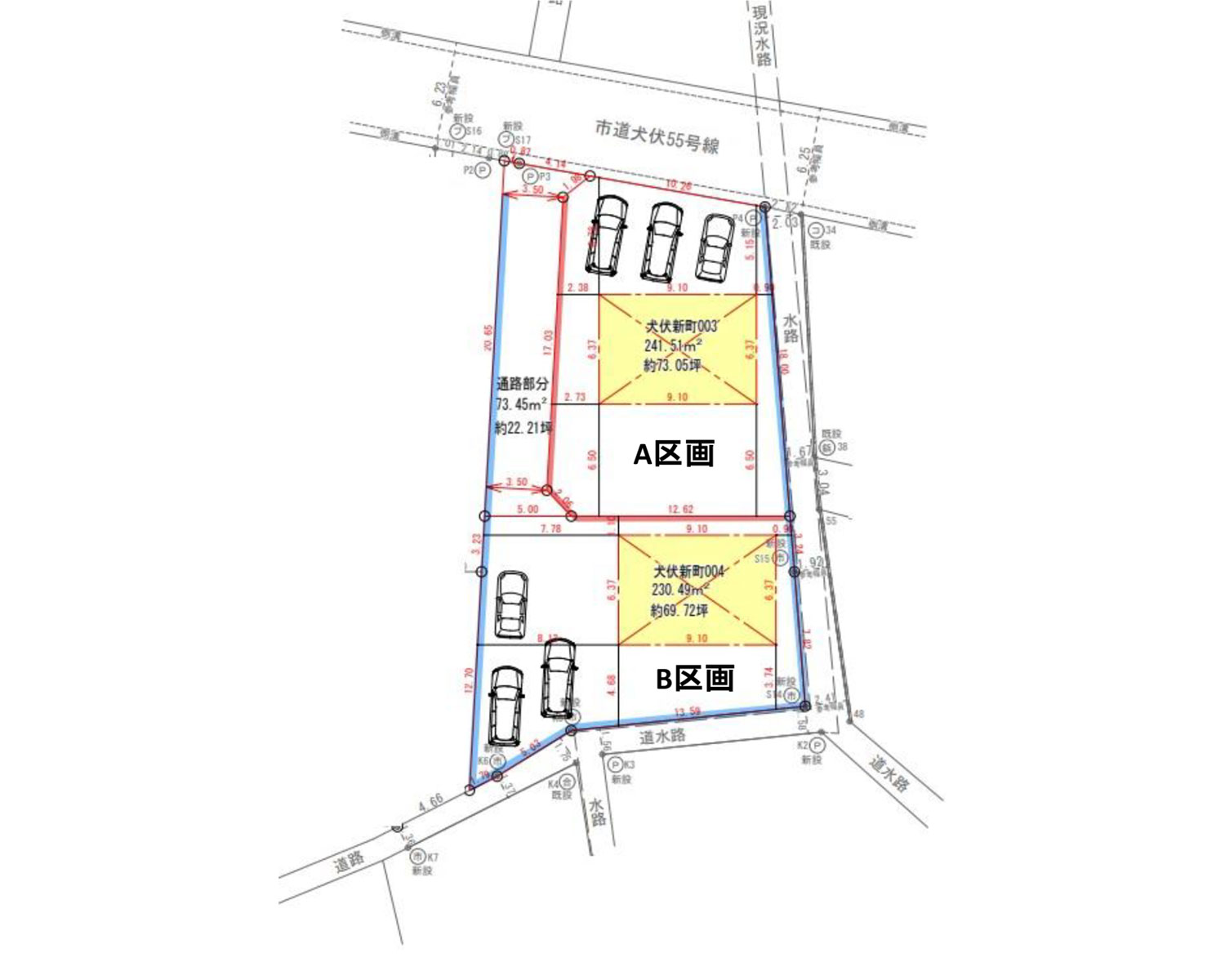
栃木県佐野市犬伏新町B区画 売地

栃木県佐野市犬伏新町B区画 売地

地図

概要

 

土地画像

B区画

全体

 

この物件へのお問い合わせはこちらから

    お名前 必須

    フリガナ 必須

    メールアドレス 必須

    郵便番号

    住所

    電話番号 必須

    お問い合わせ内容

    ご意見・ご要望

    プライバシーポリシー

    プライバシーポリシー

    株式会社ロイズコーポレーション(以下、「当社」といいます)は、お客様からご提供いただく個人情報を適切に管理し、その保護に努めております。当社の個人情報の取り扱いについて、以下の通り定めます。

    1. 個人情報の収集および利用目的

    当社は、個人情報を収集する際に、その利用目的を明示し、お客様の同意を得たうえで適正に取得いたします。取得した個人情報は、以下の目的の範囲内で利用いたします。

    ・お客様からのお問い合わせやご依頼への対応
    ・各種イベント・セミナー等のご案内
    ・その他、お客様に事前にお知らせし、同意をいただいた目的

    2. 個人情報の第三者提供

    当社は、お客様の個人情報を以下のいずれかに該当する場合を除き、第三者へ開示・提供することはありません。

    1.お客様の同意がある場合
    2.お問い合わせやご要望に対応するため、業務委託先など適切な相手に提供する場合
    3.お客様個人を識別できない形式で開示する場合
    4.法令に基づき開示が求められた場合
    5.当社のグループ会社である「SOLHOUSE」と情報を共有し、適切なサービスを提供するため
    6.その他、正当な理由がある場合

    ※当社は、グループ会社 SOLHOUSE に対し、お客様への適切なサービス提供のために必要な範囲で個人情報を共有いたします。SOLHOUSE における個人情報の管理についても、当社と同等の厳格な基準を適用し、適切に取り扱います。

    3. 個人情報の管理

    当社は、個人情報を適切に管理し、以下の措置を講じることで外部への漏洩・紛失・改ざん等を防止します。

    ・個人情報の安全管理のため、適切な技術的・組織的措置を講じます
    ・従業員および業務委託先に対し、個人情報の適切な取り扱いに関する教育・監督を行います

    4. 個人情報の変更・削除

    お客様がご提供いただいた個人情報の訂正・削除をご希望の場合は、以下のお問い合わせ窓口までご連絡ください。本人確認ができた場合に限り、合理的な範囲で速やかに対応いたします。

    5. プライバシーポリシーの適用範囲

    本プライバシーポリシーは、当社の公式ウェブサイト内に適用されます。
    当サイトからリンクされている第三者のウェブサイトにおける個人情報の取り扱いについて、当社は責任を負いません。お客様ご自身の責任において、各ウェブサイトのプライバシーポリシーをご確認ください。

    6. プライバシーポリシーの変更

    当社は、法令の変更や事業内容の変更に応じて、本ポリシーを適宜改定することがあります。重要な変更がある場合は、当サイト上でお知らせいたします。

    7. お問い合わせ

    本ポリシーに関するお問い合わせは、下記までご連絡ください。

    株式会社ロイズコーポレーション

    東京都豊島区池袋2-48-1 信友山の手池袋ビル8階-B

    TEL:03-6903-1501

    このサイトはreCAPTCHAによって保護されており、
    Googleプライバシーポリシー利用規約が適用されます。

    TOP 資料請求バナー